Italia e mondo

Messico, paura per l'arrivo dell'uragano Hilary: previste alluvioni in diversi Stati

uragano-in-arrivo

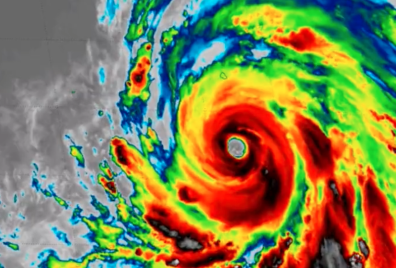
CITTÀ DEL MESSICO. L'uragano Hilary è in arrivo sulla costa messicana della Baja California e fa paura. Una tempesta tropicale si è rafforzata fino alla categoria 4 e avanza a una velocità di 19 chilometri all'ora. Con venti di 215 km/ora e raffiche fino a 260, Hilary porterà piogge "intense" e onde alte da 5 a 7 metri. Timori anche negli Usa.

Gli esperti prevedono piogge alluvionali negli Stati sud-occidentali. Su California, Nevada e Arizona potrebbe scaricare l'equivalente di oltre un anno di pioggia.